SPECIALISTA NA PRODEJ NEMOVITOSTÍ
dražby
licitace
prodej
výběrová řízení
PŘIHLÁSIT | REGISTROVAT
CHCI PRODAT
NEMOVITOST


Rodinný dům se stodolou a přístřeškem v obci Litohlavy, okres Rokycany, Plzeňský kraj - podíl 1/2

zdařile částečné rekonstruovaný


Pokud se chcete přihlásit do dražby, musíte být zaregistrováni a přihlášeni do svého profilu.


nejnižší podání:1 893 533,-Kč
nejnižší podání v %:67%
odhad ceny:2 840 300,-Kč
výše dražební jistoty:285 000,-Kč
minimální příhoz:5 000,-Kč
začátek dražby:20.01.2026 10:15:00
konec dražby20.01.2026 10:45:00
do začátku dražby zbývá:0:0:0
podíl:1/2
číslo jednací:194 EX 669/21-247
typ jednání:elektronická dražba
systémové číslo jednání:35799
Aktuální čas:
 
1.1. pozemky
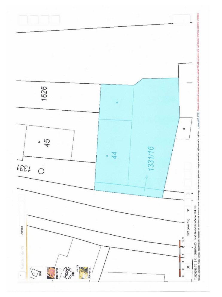
Zastavěná plocha a nádvoří č. parc. 44 a ostatní plocha č. parc. 1331/16 v obci a katastrálním území Litohlavy tvoří společně jeden funkční celek. Přístup na pozemky je ze zpevněné komunikace místního významu. V dané lokalitě jsou vybudovány tyto inženýrské sítě - veřejný vodovod, kanalizace, elektrická síť a plynovodní řad. Pozemky jsou rovinaté a na stavebním pozemku se nachází rodinný dům č.p. 48 s původní stodolou a přístřeškem pro posezení. Venkovní úpravy jsou minimální - přípojky jednotlivých sítí, uliční oplocení s vjezdovou bránou.

1.2. Rodinný dům č.p. 48
Rodinný dům postavený cca před sto lety jako součást drobné zemědělské usedlosti na základových pasech bez podsklepení a vybudovaného podkroví. Obvodové nosné konstrukce zděné z míšeného cihelného a kamenného zdiva na tl. nad 60 cm. Stropní konstrukce nad obytnou částí trámové s podbitím a záklopem v provozní části klenbové. Zastřešení je provedeno sedlovým dřevěným krovem pokrytým taškovou betonovou krytinou Bramac. Podlahové konstrukce provedeny v kombinaci keramických dlažeb a PVC Vinyl, vnitřní omítky vápenné štukové, venkovní omítky stříkané břizolitové. Okna osazena plastová, dveře vnitřní do obložkových zárubní novodobé. Rozvody el. instalace nové, hromosvod není instalovaný, rozvody vody teplé a studené v PPR potrubí, rozvody kanalizace v plastovém potrubí do veřejné kanalizace. Plyn do objektu je zavedený v běžném provedení a rozsahu. Vytápění je zajištěno plynovým kotlem s radiátorovými články. Ohřev TÚV je zajištěn el. boilerem. Zařizovací předměty v koupelně. WC a kuchyni ve standardním provedení.
Objekt byl po roce 1990 nově pokryt střešní krytinou a od roku 2019 je rekonstruován do současné podoby - výměna podlahových krytin, výměna oken, výměna dveří, výměna rozvodů el. instalace, provedení nových rozvodů kanalizace, vody, plynu, vytápění a zařizovacích předmětů v kuchyni, lázni a WC. V posledním období bylo započato s přístavbou jednoho pokoje, která není dokončena - pouze v hrubé stavbě.
Dům obsahuje: přízemí - chodbu, ložnici, obývací pokoj, chodbu, lázeň, kuchyň, WC, rozestavěnou místnost a dvě technické místnosti s umístěním kotle na vytápění a boilery na ohřev TÚV. V obvodových konstrukcích se projevuje lokálně zabudovaná vlhkost.

1.3. Původní stodola - sklad
Objekt původní stodoly je užívaný jako sklad a sklep. Je postavený na základových pasech bez podsklepení a vybudovaného podkroví. Obvodové nosné konstrukce jsou zděné z míšeného zdiva cihla, kámen. Podlahové konstrukce z dusané hlíny na původním mlatu a v obezděné části - skladu z betonové mazaniny. Stropní konstrukce pouze v části sklad, jinak neprovedena. Zastřešení je dřevěným krovem sedlového typu, krytinu tvoří tašky Bramac. Z klempířských prvků provedeny žlaby a svody. Venkovní omítky vápenné hladké, vnitřní omítky pouze v části sklepní. Elektroinstalace zavedena 230/400 V. Okno osazeno dřevěné, dveře a vrata osazena dřevěná.
Objekt je běžně udržovaný, bez zásadních nedostatků.

1.4. Přístřešek
Přístřešek pro posezení vybudovaný kolem roku 2022 na základových patkách, nosná konstrukce z pěti dřevěných sloupů a pozednice uchycené na obytné části č.p. 48. Zastřešení pultovým dřevěným krovem pokrytým taškovou krytinou Bramac. Z klempířských prvků proveden žlab a svod z pozinkovaného plechu. Podlaha je provedena z betonové dlažby.

dále viz. znalecký posudek

Sledujte i další dražby EÚ Rychnov nad Kněžnou

https://www.e-drazby.cz/index.php?obj=&typ_polozky=-1&t=1&dframe=MTAzODI0

https://www.e-drazby.cz/index.php?obj=&typ_polozky=-5&t=5&dframe=MTAzODI0

https://www.e-drazby.cz/index.php?obj=&typ_polozky=-2&t=2&dframe=MTAzODI0
Číslo jednací: 194 EX 669/21-247
Začátek dražby: 20.01.2026 10:15:00
Konec dražby: 20.01.2026 10:45:00
Město: Litohlavy
Okres: Rokycany
Kraj: Plzeňský kraj
Katastrální území: Litohlavy
Podíl: 1/2
nejnižší podání: 1 893 533,- Kč
Minimální příhoz: 5 000,- Kč
Odhad ceny: 2 840 300,- Kč
Dražební jistota: 285 000,- Kč
Prohlídka: prohlídka se nekoná

Dokumenty

NázevVelikostSoubor
Dražební vyhláška0,2MBvyhl66921.pdf
Znalecký posudek1,9MBznal66921.pdf


Abyste se mohli účastnit dražby je nutné splnit tyto podmínky:

* Zaregistrovat se na našem portále (pokud ještě nejste)
Vpravo nahoře naleznete odkaz "Registrace" a vyplňte registrační formulář.
Potom Vám systém zašle aktivační e-mail na Vámi uvedenou emailovou adresu.
Klikněte na aktivační odkaz a můžete se zalogovat do našeho portálu.


* Přihlásit se do dražby
Přihlaste se svými přihlašovacími údaji (uživatelské jméno a heslo) do našeho portálu, vpravo nahoře.
Najděte si položku, kterou chcete dražit a na jejím detailu klikněte na tlačítko "Připojit se do dražby".
Před odesláním Vašeho požadavku se prosím seznamte se všemi dokumenty v sekci "Dokumenty" a potvrďte tuto skutečnost.


* Provést autentizaci
Klikněte nahoře na první liště na odkaz "Formuláře a vzory".
Zvolte si formulář podle toho, zda dražíte jako fyzická osoba, právnická osoba, jako manželé anebo do podílového spoluvlastnictví.
Formulář vyplňte, podepište a na poště nebo u notáře si nechte ověřit podpis.
Dokument převeďte "elektronickou konverzí" do podoby souboru.
Tento soubor pak vložte kliknutím na "Váš profil \ soubory autentizace \ vybrat soubor \ Vložit".


* Složit dražební jistotu
Dražební jistotu / depozit odešlete ze svého účtu na stanovený účet co nejdříve.
Pokud v dražbě nezvítězíte, bude Vám DRAŽEBNÍ JISTOTA, dle podmínek vyhlašovatele dražby, vrácena zpět na účet, ze kterého jste ji odeslali.
Pokud v dražbě nezvítězíte, bude DRAŽEBNÍ JISTOTA vrácen zpět na účet, ze kterého byl odeslán, a to do 3 (tří) pracovních dnů ode dne ukončení dražby, nejpozději však do 5 (pěti) pracovních dnů, nestanoví-li OP dále jinak.


DŮLEŽITÉ: Uveďte vždy správný VS a SS!

Číslo účtu: 300935780 / 0300
Variabilní symbol: 669216
Specifický symbol: Pro zobrazení údaje musíte být přihlášeni
Částka: 285 000Kč

Splnění těchto podmínek není složité ani časově náročné. Po jejich splnění budete připuštěni do dražby. Informaci zda máte splněné podmínky nebo které nemáte najdete na detailu dražby.
Doporučujeme učinit jednotlivé kroky v těchto termínech:


• Doba pro přihlášení: 2 dny před začátkem dražby
• Doba pro prokázání totožnosti: 2 dny před začátkem dražby
• Doba pro složení dražební jistoty: 2 dny před začátkem dražby



Úřad sídlí v Týništi nad Orlicí přímo proti nádraží - vchod z nádvoří budovy


Exekutorský úřad Rychnov nad Kněžnou

IČ: 61187836
DIČ: CZ7011102978

Adresa:
Nádražní 486
51721  Týniště nad Orlicí

datová schránka: arekta3
web: wwww.exekuce.hk
e-mail: drazby@exekuce.hk
telefon: 737393721, 702807000, 731191122





Pokud zde chcete komunikovat s dražebníkem, musíte být zaregistrování a přihlášeni do svého profilu.

Jak se zúčastnit

Účast v elektronické dražbě lze rozdělit do těchto tří základních kroků:
  • Provést registraci a přihlásit se do svého uživatelského účtu
  • Připojit se do elektronické licitace
  • Splnit podmínky účasti pro danou elektronickou dražbě

1. Provést registraci a přihlásit se do svého uživatelského účtu
Registrace uživatele Vám zpřístupní další funkce portálu, zejména možnost se přihlásit do elektronických jednání (dražba, licitace, atd ...). Registraci provedete tak, že v pravém horní části webové stránky kliknete na odkaz "REGISTROVAT".
Formulář k registraci vyplňte zcela a pravdivě.
Zkontrolujte zejména správnost uvedení Vašeho e-mailu, jinak nebudete moci Váš uživatelský účet aktivovat.
Před dokončením registrace se seznamte s Provozními podmínkami portálu (PPP) a podmínkami udělení souhlasu se zpracováním osobních údajů (SSZOU), se kterými je nutné vyznačit souhlas před odesláním žádosti o registraci.
Po vyplnění registračního formuláře Vám je do Vašeho e-mailu zaslán aktivační odkaz. Svůj účet aktivujete ve Vašem e-mailu kliknutím na tento aktivační odkaz.
Nyní se již můžete přihlásit pomocí Vámi zvoleného uživatelského jména a hesla na portále e-drazby.cz a využívat služeb portálu naplno.

2. Jak se připojit do dražby
U elektronické dražby máte možnost se do ní připojit, kliknutím na tlačítko "Připojit se do dražby".
Před odesláním souhlasu si prosím přečtěte Sdělení před uzavřením smlouvy a veškeré dražební dokumenty na záložce „Dokumenty“ a v případě, že s nimi bez výhrad souhlasíte, potom:
  • Zaškrtněte potvrzení „Přijal/a jsem Sdělení před uzavřením smlouvy“.
  • Zaškrtněte políčko „Souhlasím a chci se připojit k licitace“ pod textem o seznámení s dražební dokumenty.
Tím se Vám zpřístupní tlačítko odeslat. Bez odeslání přijetí Sdělení a potvrzení seznámení se s dokumenty se do licitace připojit nemůžete.
Stisknutím tlačítka Odeslat uzavíráte distančním způsobem Smlouvu o účasti v elektronické licitaci.
Jakmile kliknete na "ODESLAT", objeví se elektronická licitace v záložce "Jste přihlášeni" až do zahájení licitace (může také zmizet, pokud bude výjimečně zrušena).

3. Jak splnit podmínky licitace
U licitaci je třeba pouze složit licitační jistotu. Jak provést platbu je vždy popsáno v licitační vyhlášce v záložce "Dokumenty" nebo na záložce Podmínky připuštění.
Při platbě si kromě čísla účtu a částky dávejte pozor na správný variabilní a specifický symbol.
Pokud máte splněny podmínky účasti, vyčkejte na okamžik započetí licitace. Činit nabídky můžete pouze, pokud jste přihlášeni do svého uživatelského profilu na portále e-drazby.cz

Průběh licitace
Než se budete moci zúčastnit, musíte být zaregistrováni, mít aktivovaný účet, být přihlášeni, přihlášeni do dané licitace a mít splněny podmínky účasti.
Každá licitace má svůj začátek, konec, podmínky připuštění a vlastní pravidla — seznamte se proto s dokumenty v sekci „Dokumenty“ na detailu dané licitace.
Pokud jsou informace na této záložce v rozporu s jakýmkoliv dokumentem na záložce „Dokumenty“ nebo v textu na detailu licitace, mají dokumenty vždy přednost.

Doplňující a užitečné informace:
Na portále e-dražby.cz se provádí různé druhy elektronických jednání, zejména:
  • Dražby v rámci exekuce nebo dražby soudním prodejem podle OSŘ (zákon č. 99/1963 Sb.).
  • Veřejné dražby podle zákona o veřejných dražbách (zákon č. 26/2000 Sb.) a vyhlášky č. 18/2014 Sb.
  • Aukce podle NOZ (§ 1770 zákona č. 89/2012 Sb.).
  • Výběrová řízení podle § 1770 zákona č. 89/2012 Sb.
  • Běžné prodeje či pronájmy, které nemají povahu závazného jednání do doby potvrzení úmyslu obou stran.
Všechny podstatné informace naleznete v přiložených dokumentech na záložce "Dokumenty" na detailu daného jednání.

Příhozy a pravidla přihazování
Na portále činíte podání formou příhozů — částky, o které chcete zvýšit aktuální podání. Příhoz zadáte do pole "Váš příhoz" a kliknete na "Přihodit".
Příhoz si pečlivě zkontrolujte — jeho výši nelze opravit ani vzít zpět.
U dražeb podle zákona 26/2000 Sb. systém může před odesláním potvrdit, zda opravdu chcete učinit podání v dané výši.
Systém automaticky upozorní, že máte nejvyšší podání. Pokud Vás někdo přehodí, portál Vás opět informuje.
Na konci dražby se při příhozu prodlužuje čas ukončení o 5 minut od posledního příhozu, opakuje se až do uplynutí 5 minut bez nového příhozu.

Archiv a oznámení
Dražby, ve kterých jste zvítězili, se zobrazí v záložce „Vydražené“. Ostatní dražby najdete v záložce „Archiv“.
Dražebník/vyhlašovatel může přijímat námitky a zveřejňovat oznámení v záložce Oznámení — pečlivě je čtěte.

UPOZORNĚNÍ:
Pokud je u dražby uvedeno, že je "kamenná", koná se fyzicky a na portálu se neotevře. Na takovou dražbu se musíte dostavit osobně.

Kontakt a zprávy:
Portál umožňuje komunikaci s dražebníkem přes interní zprávy v záložce Zprávy v detailu dražby.


Přejeme Vám úspěšné dražby a licitace.

Formuláře a vzory - pouze pro dražby! Pro aukce nevyplňujte!

Soubory pro autentizaci - ověření totožnosti

Zde si můžete stáhnout potřebné formuláře


AUTENTIZACE PRO FYZICKOU OSOBU

» formulář "Autentizace (prokázání totožnosti) dražitele" - fyzická osoba (včetně možnosti s IČO):

Autentizace - fyzická osoba.docx
Autentizace - fyzická osoba.doc



AUTENTIZACE PRO PRÁVNICKOU OSOBU

» formulář "Autentizace (prokázání totožnosti) dražitele" - právnická osoba:

Autentizace - právnická osoba.docx
Autentizace - právnická osoba.doc



AUTENTIZACE PRO SPOLEČNÉ JMĚNÍ MAŽELŮ (SJM)

» formulář "Autentizace (prokázání totožnosti) dražitelů" - SJM:

Autentizace - SJM.docx 
Autentizace - SJM.doc 



AUTENTIZACE PRO PODÍLOVÉ SPOLUVLASTNICTVÍ

» formulář "Autentizace (prokázání totožnosti) dražitelů" - podílové spoluvlastnictví s dražícím účtem fyzické osoby:

Autentizace - podílové spoluvlastnictví účet FO.docx 
Autentizace - podílové spoluvlastnictví účet FO.dox 

» formulář "Autentizace (prokázání totožnosti) dražitelů" - podílové spoluvlastnictví s dražícím účtem právnické osoby:

Autentizace - podílové spoluvlastnictví účet PO.docx 
Autentizace - podílové spoluvlastnictví účet PO.dox 



Vyberte a vyplňte správný formulář podle toho zda jste fyzická či právnická osoba. Další informace naleznete na záložce "Jak se zúčastnit dražby".
 
formát .docx si vyberte, pokud máte verzi Microsoft Office Word 2007 a vyšší - dotazník vyplníte pohodlně jako formulář
formát .doc si vyberte pokud máte verzi Microsoft Office Word 97-2003 - v dokumentu vyplňte informace místo vytečkovaných míst



Dále postupujte podle pokynů popsaných ve formuláři nebo na záložce "Jak se účastnit dražby nebo aukce" !



Ve svém profilu můžete mít vícero druhů autentizací, které použijete podle potřeby. Dbejte však na jejich správné zařazení.









Vytvořil tým SOFFITECH s.r.o. www.soffitech.com